Service Guide

Get Ants Extermination Service

Local contractors provide ant extermination services to eliminate infestations, protect properties, and handle residential or commercial pest control projects effectively.

Ants extermination services are a common concern for property owners seeking effective solutions to manage pest challenges. Whether you're dealing with persistent ant activity or preparing your property for upcoming projects, exploring local contractors who specialize in ant control can provide valuable insights and options. This page helps connect you with experienced service providers in the area, making it easier to compare approaches and find the right fit for your needs.

Understanding the importance of timely and reliable ant extermination can help property owners maintain a safe and comfortable environment. By reviewing local options, you can plan your pest management efforts with confidence, knowing that qualified professionals are available to handle the work efficiently. Keep reading to learn more about the services available and how local contractors can assist with your ant control needs.

Get Ants Extermination Service Quotes

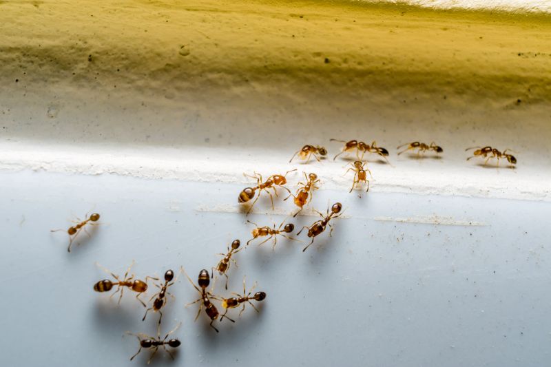
  • Ants Extermination - needed when ants invade kitchens or pantry areas.
  • Ants Nest Removal - required if ants are building nests inside walls or under floors.
  • Ant Control Services - sought when ants are spreading across multiple rooms or outdoor spaces.
  • Ant Infestation Treatment - necessary for severe ant populations that threaten home comfort.
  • Ant Barrier Installation - useful for preventing future ant invasions around the property perimeter.
Ants Extermination Service
Ants Extermination Service
Ants Extermination Service

Ants extermination services involve identifying and eliminating ant infestations within residential or commercial properties. Professional contractors typically conduct a thorough inspection to locate ant colonies and entry points. They then use targeted treatments, such as baiting and residual insecticides, to effectively reduce or eliminate the ant population. This process helps ensure that the property remains free of these pests, preventing further invasions and damage.

Ant problems often manifest as visible trails of ants, especially near kitchens, bathrooms, or other areas where food and moisture are present. Ants can contaminate food supplies, create unsanitary conditions, and cause frustration for property occupants. Exterminators address these issues by not only removing existing ants but also implementing preventative measures to reduce the likelihood of future invasions. This comprehensive approach helps maintain a clean and pest-free environment.

Properties that commonly require ants extermination services include single-family homes, apartment complexes, restaurants, and retail stores. Any property with access points or attractants for ants can become a target for infestation. Homes with cracks in walls, gaps around windows, or unsealed entry points are particularly vulnerable. Commercial establishments that handle food or have high foot traffic may also seek professional assistance to control ant populations and protect their operations.

When signs of an ant infestation appear, or if ants are seen repeatedly in certain areas, it’s a clear indication that professional intervention may be needed. Local service providers can assess the situation and recommend appropriate treatment options tailored to the specific property type and severity of the problem. Engaging experienced contractors ensures that ant issues are addressed efficiently, helping property owners maintain a comfortable, pest-free space.

The overview below groups typical Ants Extermination Service projects into broad ranges so you can see how smaller, mid-sized, and larger jobs often compare in your area.

In many markets, a large share of routine jobs stays in the lower and middle ranges, while only a smaller percentage of projects moves into the highest bands when the work is more complex or site conditions are harder than average.

Basic Ant Control - Typical costs for routine ant extermination services range from $250 to $600 for many smaller jobs. Most projects fall within this middle range, covering standard treatment areas around a home or business. Fewer projects require extensive or multiple treatments that push costs higher.

Localized Infestation Removal - For targeted ant infestations in specific areas, local contractors often charge between $300 and $700. These projects usually involve identifying and treating specific nests or entry points, with larger or more complex infestations potentially costing more.

Full Property Treatment - Complete property extermination services generally cost between $500 and $1,200. Many homeowners opt for this option when dealing with widespread ant problems, though larger or heavily infested properties may see costs exceeding this range.

Ongoing Maintenance Plans - Regular ant prevention and maintenance programs can range from $100 to $300 per visit or service cycle. Many routine treatments fall into this lower band, while customized or extensive ongoing plans might cost more depending on property size and ant activity level.

Actual totals will depend on details like access to the work area, the scope of the project, and the materials selected, so use these as general starting points rather than exact figures.

Get a Quote

Rodent Control Projects - Local contractors use pest control techniques and tools similar to those used in ant extermination to eliminate rodents from residential and commercial properties.

Termite Treatment Services - These projects require knowledge of pest behavior and application methods akin to ant pest control, often involving chemical treatments and inspections.

Cockroach Extermination Projects - Similar to ant services, these projects involve identifying infestation sources and applying targeted treatments to eliminate pests effectively.

Spider Pest Control Projects - These projects demand expertise in pest habitat identification and treatment application, paralleling ant extermination strategies.

Bed Bug Removal Services - Both projects involve detailed inspection techniques and treatment plans to address pest infestations in indoor environments.

Wildlife Removal Projects - These projects require planning and the use of trapping and exclusion tools, similar to pest control methods used in ant extermination services.

Ants Extermination Service

When comparing local contractors for ant extermination services, it is important to consider their experience with similar projects. Homeowners should look for service providers who have a proven track record in handling ant infestations comparable to their own situation. An experienced contractor will understand the common challenges associated with ant control and be familiar with effective treatment methods, which can contribute to a more efficient and successful outcome.

Clear written expectations are essential when evaluating potential service providers. Homeowners should seek out contractors who provide detailed descriptions of their services, including the scope of work, methods used, and any preparations or follow-up needed. Having this information in writing helps ensure that both parties are aligned on what will be done, reducing misunderstandings and making it easier to assess whether the contractor’s approach matches the homeowner’s needs.

Reputable references and good communication are key factors in choosing a reliable local contractor. Homeowners are encouraged to request references from previous clients or look for reviews that highlight the contractor’s professionalism, responsiveness, and quality of work. Additionally, effective communication-such as prompt responses to inquiries and clarity in explanations-can make the process smoother and more transparent. It is important to remember that the site introduces homeowners to local options but does not perform the work itself, so selecting a trusted service provider is a crucial step in ensuring a successful ant extermination service.

Get an Ants Extermination Service Quote

Property owners use Ants Extermination Service services for practical projects around their homes and businesses. This guide focuses on everyday jobs and straightforward project options.

Ants Extermination Service
Ants Extermination Service

Ants can become a common nuisance for property owners dealing with everyday issues such as food contamination, unsightly trails, or unexpected infestations in kitchens, basements, and outdoor spaces. When ants invade a home or business, it often indicates an underlying problem that requires prompt attention from experienced service providers. Local contractors who specialize in ant extermination can assess the situation, identify the source of the infestation, and implement effective solutions to eliminate the pests and prevent future visits.

Many property owners seek out ant extermination services after noticing persistent activity or signs of an ongoing problem, especially during warmer months when ants are most active. Whether it’s a small colony or a widespread invasion, local service providers can offer tailored approaches to address the specific needs of each situation. Connecting with experienced contractors ensures that the job is handled efficiently, helping to restore comfort and maintain a pest-free environment.

Get an Ants Extermination Service Quote

What are the common signs of an ant infestation? Signs include visible ant trails, small piles of dirt or debris near entry points, and sightings of ants inside the home or property.

How do local contractors typically handle ant extermination? They often use targeted baits, residual insecticides, and exclusion methods to eliminate ants and prevent future invasions.

Are there different types of ants that require specific treatment? Yes, different ant species may need tailored approaches, as some are more resistant to certain treatments or prefer specific environments.

What should I do to prepare for an ant extermination service? Clearing the area of clutter, sealing food items, and informing the service provider of visible nests or trails can help ensure effective treatment.

Can ant extermination services prevent future infestations? Many local service providers offer exclusion and prevention advice to help reduce the likelihood of recurring ant problems.

Ants Prevention Tips - Property owners can learn practical strategies to reduce ant attractants around their home, such as proper food storage and sealing entry points, to minimize infestations.

Inspection Services - Property owners can schedule inspections to identify ant activity early and determine the best treatment plan with local contractors.

Extermination Solutions - Homeowners can explore effective treatment options offered by local service providers to eliminate existing ant problems.

Ongoing Pest Management - Property owners can set up maintenance plans with local pros to keep ants from returning and maintain a pest-free environment.

Ants Extermination Service

If you are thinking about Ants Extermination Service for a property, this guide is meant to help you understand the work, the typical project types, and how different options might fit your plans.

When you are ready, you can use the quote form on this page to share a few details about your project. From there, local pros can review the basics and respond with options that match what you have in mind.

Get a Quote

Ants Extermination Quotes